我院举办首届“渔欢节”,师生共享捕捞的2000斤鱼
日期:2020-11-05 00:00:00 作者: 来源: 浏览量:5628
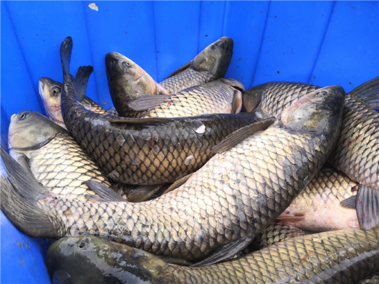
我院举办首届“渔欢节”,师生共享捕捞的2000斤鱼
10月30至31日,由院行政办公室、后勤处承办黔南民族职业技术学院首届“渔欢节”,全院的师生们在湖旁观看渔人网鱼、捕鱼,为他们加油助威,共同庆祝学院的首届“渔欢节”。




校园内山环水绕,有近200亩水面的2个内湖带,三年前在校内的2个内湖带放了1000多斤小鱼,以草鱼为主,学校每年都在湖边割草喂养,如今最大的已有10多斤。
为了让师生共享绿色生态建设中的发展成果,因而举办首届“渔欢节”,总共捕了2000斤原生态的野生鱼,烹饪出了一道道健康美食,全部免费让全校师生享用。

在校园食堂内的餐桌上摆着一盘盘美味的鱼肉,学生们吃得津津有味。“没有想到学校会有这样的活动,鱼肉很嫩,味道好极了。”学生们窃窃私语地说着。


今后,学院每年都会举办“渔欢节”,而且在渔欢节期间,所有捕捞的鱼都会免费让全校师生享用。